
전 세계를 무대로 활동하는 건축가들이 짓는 집은 어떤 모습일까. 일본 협소주택이나 미국 주택은 TV나 영화를 통해 종종 소개되지만 그 의도와 철학적 의미를 알기는 쉽지 않다. 땅집고는 월간 건축문화와 함께 세계적인 건축가들이 지은 주택을 소개한다.
[세계의 주택] 숲속 크고 평평한 바위 위에 얹은 집

◆건축 개요
건축가: 이스페이스 바이탈 건축사무소(ESPACE VITAL architecture)
위치: 캐나다 퀘벡
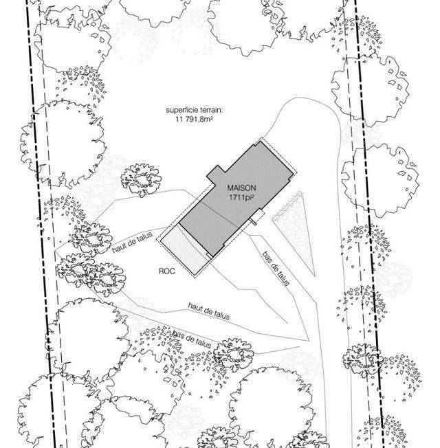
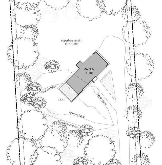
대지면적: 1만1792㎡
건축면적: 240㎡
준공시기: 2017년
사진: 스테판 레미르(Stephane Lemire)
이 주택은 숲 뒤쪽 바위에 걸쳐서 지어졌다. 마치 집이 거대한 바위 위에 얹혀진 모습이다. 흰색 패널과 검정 철제, 노출콘크리트 등으로 마감한 외관과 달리 내부는 바닥부터 천장까지 백색으로 마감했다. 목재와 철제 가구로 포인트를 줬다. 주변 숲을 향해 크게 열린 창을 통해 주방과 거실에서 바깥 경관을 감상할 수 있다.

캠핑 시설처럼 건물은 단순하고 기본적인 필요를 충족시키는 것을 목표로 했다. 1층에는 계단을 마주하는 출입구, 대형 차고 문, 사무실, 공용 공간을 배치했다. 2층에는 투명 다리의 열린 공간, 북쪽에 마스터 침실이 있다. 중앙 부분은 공용 또는 개인 공간으로 전환되는 곳으로 식료품 저장실, 욕실 등 서비스 공간으로 이뤄져 있다.

◆건축가가 말하는 이 집은...
건축주들은 베이스 캠프를 지을 곳으로 바위 더미들을 선택했다. 그들은 주변 숲 전망을 즐길 수 있도록 떠있는 갑판 같은 집을 원했다. 이 플랫폼은 프로젝트에 대한 개념적 접근 방식에 영감을 줬다. 바위 위에 섬세하게 갑판을 두고 거기에 투명 다리를 둠으로써 공중에 떠 있는 효과를 만들어냈다. 이 아이디어는 현대미술 애호가이자 자연을 좋아하는 건축주 부부를 유혹하기에 적당했다.

공중에 떠 있는 듯한 수평 구조는 바위로부터 침실이 있는 집 북쪽 끝까지 뻗어 있다. 이 구조물은 구조적 측면과 동시에 시각적인 구성에 안정감을 주도록 두 개의 거대한 콘크리트 평면에 놓이게 된다. 그리고 그것은 쉼에 대한 욕망의 표현이다.

이 프로젝트에서의 도전 과제는 가벼운 느낌을 유지하는 것이었다. 그에 대한 해결책으로 유리창을 최대한 많이 사용했다. 동시에 투명한 입구와 계단에 검정색 창틀을 사용해 사생활 보호와 개방성 간의 조화를 꾀했다.

이런 배치는 모든 내부 공간을 관통함으로써 환경을 최우선으로 고려한 결과다. 거주자는 밖에서 생활하는 느낌을 가지며 계절에 따라 끊임없이 변화하는 모양, 색채, 조명 및 자연이 제공하는 패턴을 즐길 수 있다.