전 세계 해저 모습 2030년쯤 3차원 지도로 '한눈에'
해류 추적해 기후변화 예측 기대
[경향신문]

최근 전 세계 해저의 5분의 1이 지도로 그려졌다는 발표가 나왔다. 2030년쯤에는 해저 전부를 3차원 지도로 파악할 수 있게 될 것으로 보인다. 해저 지도를 이용하면 바다 밑에 파이프라인을 깔기 좋은 위치와 물고기가 잘 모이는 곳을 알아낼 수 있고, 특히 지구 기온을 유지하는 해류 움직임을 정밀 파악하게 돼 기후변화에 좀 더 능동적으로 대처할 수 있을 거라는 기대가 나온다.
지난주 국제기구인 대양수심도위원회(GEBCO)와 비영리단체인 일본재단(NF)은 공동 연구과제인 ‘시베드 2030’을 통해 전 세계 해저의 20.6%를 지도로 그려내는 데 성공했다고 밝혔다. 지난해 수치는 19%였는데, 코로나19의 영향 속에서 소폭 증가세를 보였다.
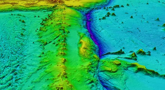
지도 제작은 기본적으로 전 세계에서 과학 목적으로 사용하는 선박은 물론 다양한 민간 소유 배들의 협조를 통해 이루어진다. 선체에 장착한 위성항법시스템(GPS)과 데이터 기록장비를 켜서 수집한 자료를 ‘시베드 2030’ 연구진에게 전송하면 지도 제작에 활용하는 방식이다. 이렇게 해서 만들어진 지도를 보면 바닷물이 전부 빠진 상태에서 사진을 찍어놓은 듯한 3차원 형태의 해저 지형이 나타난다.
연구진은 최근 또 다른 지원군도 얻었다. 미국의 대부호이며 탐험가이기도 한 빅터 베스코보가 지원한 심해 잠수정 덕분에 접근하기 까다로운 해저에 다가갈 수 있었던 것이다. 이 잠수정을 활용해 최근 10개월 만에 새로 만든 지도의 넓이가 남한 영토의 5.5배에 이른다고 연구진은 밝혔다.
그런데 왜 이런 수고를 장기간 감수하면서까지 깊은 바닷속 지도가 필요할까. 일단 해저에 케이블이나 파이프라인을 까는 데에 지도는 매우 긴요하다. 바다 밑 지형을 모른 채 이런 공사를 하는 건 쉽지 않기 때문이다. 어업 활동에도 도움을 받을 수 있다. 물고기가 모이는 장소는 보통 해저의 산 주변이다. 이런 곳을 정밀하게 잡아낼 수 있다면 그물이나 낚시를 집중적으로 던져야 할 곳을 파악하는 데 유리할 수밖에 없다.
하지만 가장 큰 이유는 따로 있다. 바닷속 지형에 휘말린 해류가 어떻게 움직일지를 알아내 기후변화의 추세를 가늠할 수 있다는 점이다. 들쑥날쑥한 해저 지형은 땅 위의 산이나 언덕, 빌딩이 바람의 흐름을 바꾸는 것처럼 해류의 움직임을 바꾼다.
해류는 따뜻한 바닷물과 찬 바닷물을 교환해 지구 기온을 일정하게 유지하는 임무를 맡는다. 해저 지도를 그려내면 이런 해류가 어떤 지형 앞에서 어떻게 움직이는지, 그리고 온도가 다른 바닷물은 어떻게 섞이고 만나는지 정확히 파악할 수 있다. 기후변화 양상을 예측하는 데 중요한 역할을 할 수 있는 것이다. 연구진은 앞으로 무인수상정(USV)을 적극적으로 활용해 해저 지도 제작의 속도를 높인다는 계획이다.
이정호 기자 run@kyunghyang.com
Copyright © 경향신문. 무단전재 및 재배포 금지.
- [단독] 경찰, 전재수 휴대폰 확보 후에도 포렌식은 아직···속도전 이은 숨 고르기?
- [속보] 대통령실 ‘쿠팡 장관회의’ 소집한 날…쿠팡 “2차 피해 없다” 자체 조사결과 긴급 발
- 김병기 “송구하다, 성찰하겠다…제보자 ‘여의도 맛도리’ 비밀 대화방 직접 보고 판단을”
- “교회다운 교회서 성탄 인사”…이 대통령, 옛 지역구 인천 계양서 예배
- ‘K팝 전문가’ 김영대 음악평론가 별세…향년 48세
- 허위 전입·입원으로 38세까지 시간 끌어 ‘병역 면제’···결국 ‘징역 1년’
- 장동혁, 국힘 당명 개정과 정강·정책에서 ‘기본소득’ 삭제 시사…“요구해온 쇄신안과 달라
- 제주~서귀포 잇는 ‘박정희 잔재’ 5·16로, 이번엔 이름 바꿀 수 있을까
- 경찰, ‘마약 혐의’ 남양유업 창업주 외손녀 황하나 영장 신청 예정···26일 심사 전망
- [단독]특검, 김기현 부인 국회 방문 기록 확보···날짜는 ‘로저비비에 가방 전달한 날’