목차
• 기후 변화의 역습: 슈퍼 태풍의 일상화지구 온난화와 태풍의 상관관계과거 사례로 본 태풍의 파괴력
• 지구 온난화와 태풍의 상관관계
• 과거 사례로 본 태풍의 파괴력
• 손해율 급등: 손해보험사 실적의 ‘아킬레스건’태풍으로 인한 주요 보험금 지급 항목
• 태풍으로 인한 주요 보험금 지급 항목
• 2024년 하반기 실적 전망: 기대와 우려의 교차하반기 실적을 위협하는 리스크 요인
• 하반기 실적을 위협하는 리스크 요인
• 위기 속 기회: 손해보험사들의 생존 전략1. 데이터 기반의 리스크 관리 고도화2. 보험 요율 및 상품 구조의 합리적 개편3. 재보험을 통한 위험 분산
• 1. 데이터 기반의 리스크 관리 고도화
• 2. 보험 요율 및 상품 구조의 합리적 개편
• 3. 재보험을 통한 위험 분산
• 결론: 기후 변화 시대, 패러다임의 전환이 필요하다
서론: 기후 변화라는 거대한 파도 앞에 선 손해보험업계
매년 여름과 가을, 한반도를 찾아오는 태풍은 더 이상 예측 가능한 수준의 자연 현상이 아닙니다. 기후 변화로 인해 해수면 온도가 상승하면서 태풍은 더욱 강력해지고, 그 경로 또한 예측하기 어려워지고 있습니다. 2022년 막대한 피해를 남겼던 ‘힌남노’와 같은 슈퍼 태풍의 등장은 이러한 변화를 극명하게 보여주는 사례입니다. 이러한 전례 없는 자연재해의 증가는 우리 사회의 안전을 위협할 뿐만 아니라, 각종 피해를 보상해야 하는 손해보험사들의 재무 건전성에 직접적인 타격을 주고 있습니다. 결국 기후 변화와 손해보험사의 관계는 떼려야 뗄 수 없는, 생존과 직결된 문제가 되었습니다. 올 상반기 비교적 양호한 실적을 기록했던 손해보험사들이지만, 본격적인 태풍 시즌이 시작되는 하반기에는 어떤 성적표를 받게 될까요? 본 포스팅에서는 기후 변화, 특히 강력해진 태풍이 손해보험사의 하반기 실적에 미치는 영향을 심층적으로 분석하고, 이에 대한 업계의 대응 전략을 전망해보고자 합니다.
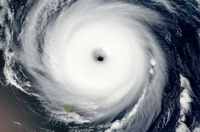
기후 변화의 역습: 슈퍼 태풍의 일상화
과거의 태풍이 강한 비바람을 동반하는 수준이었다면, 현재 우리가 마주하는 태풍은 도시 기능을 마비시키고 천문학적인 피해를 유발하는 ‘재앙’에 가깝습니다. 기후 변화는 이러한 변화의 핵심 동력입니다.
지구 온난화와 태풍의 상관관계

태풍은 따뜻한 바다로부터 에너지를 공급받아 발달합니다. 지구 온난화로 인해 해수면 온도가 1도 상승할 때마다 대기가 머금을 수 있는 수증기의 양은 약 7% 증가하며, 이는 태풍의 위력을 폭발적으로 증가시키는 결과를 낳습니다. 전문가들은 앞으로 ‘매우 강’ 또는 ‘초강력’ 등급의 태풍이 한반도에 도달하는 빈도가 훨씬 잦아질 것이라고 경고합니다. 이는 더 이상 가설이 아닌, 우리가 매년 여름 체감하고 있는 현실입니다. 이러한 슈퍼 태풍의 일상화는 예측 불가능성을 높여 손해보험사들의 리스크 관리 체계에 근본적인 질문을 던지고 있습니다.
과거 사례로 본 태풍의 파괴력
역대급 태풍으로 기록된 사례들은 그 피해 규모가 얼마나 막대한지를 명확히 보여줍니다.
* 태풍 루사 (2002년): 약 5조 1천억 원의 재산 피해와 246명의 인명 피해를 남겼습니다.
* 태풍 매미 (2003년): 약 4조 2천억 원의 재산 피해를 기록하며 항만 시설에 큰 타격을 주었습니다.
* 태풍 힌남노 (2022년): 포항 지역을 중심으로 막대한 침수 피해를 발생시켰으며, 특히 지하주차장 침수 사고와 포스코 포항제철소의 가동 중단 사태는 사회적으로 큰 충격을 안겼습니다. 당시 자동차 침수 피해만 1만 대를 훌쩍 넘겼습니다.
이러한 대형 재해는 발생 즉시 수많은 보험금 청구로 이어지며, 손해보험사의 손해율을 급격히 악화시키는 주범이 됩니다.
손해율 급등: 손해보험사 실적의 ‘아킬레스건’
손해보험사의 수익성을 나타내는 가장 중요한 지표 중 하나는 ‘손해율’입니다. 손해율은 고객으로부터 받은 보험료 대비 지급한 보험금의 비율을 의미하며, 이 수치가 낮을수록 보험사의 이익은 커집니다. 하지만 대형 태풍과 같은 자연재해는 이 손해율을 걷잡을 수 없이 끌어올립니다.
태풍으로 인한 주요 보험금 지급 항목
태풍 발생 시 보험금 청구가 집중되는 분야는 다음과 같습니다.
1. 자동차 보험: 차량 침수, 파손 등으로 인한 손해가 가장 대표적입니다. 특히 도심 지역에 집중호우가 발생할 경우, 지하주차장에 주차된 차량들이 한꺼번에 침수되어 막대한 손실을 유발합니다.
2. 일반 보험: 주택, 상가, 공장 등 건물의 파손 및 침수 피해에 대한 보상이 이루어집니다. 특히 산업단지나 대형 상업 시설이 피해를 볼 경우, 보험금 지급 규모는 기하급수적으로 늘어납니다.
3. 농작물 재해보험: 태풍으로 인한 농경지 유실, 농작물 피해, 비닐하우스 파손 등에 대한 보상도 큰 비중을 차지합니다.
아래 표는 대형 태풍 발생 시 주요 보험 종목의 손해율이 어떻게 변화하는지를 가상으로 보여줍니다.
• 구분: 자동차 보험
• 평상시 손해율: 78% ~ 82%
• 대형 태풍 발생 시 예상 손해율: 95% 이상
• 구분: 일반 보험
• 평상시 손해율: 65% ~ 70%
• 대형 태풍 발생 시 예상 손해율: 80% 이상
• 구분: 농작물 재해보험
• 평상시 손해율: 변동성 큼
• 대형 태풍 발생 시 예상 손해율: 150% 이상
표에서 볼 수 있듯이, 단 한 번의 대형 태풍만으로도 특정 보험 종목의 연간 손해율이 적정 수준을 크게 초과할 수 있으며, 이는 곧바로 해당 분기 및 연간 실적 악화로 이어집니다.
2024년 하반기 실적 전망: 기대와 우려의 교차
올해 상반기, 주요 손해보험사들은 자동차 보험 손해율 안정화와 장기보험의 꾸준한 성장세에 힘입어 비교적 견조한 실적을 달성했습니다. 하지만 이는 폭풍전야의 고요함일 수 있습니다. 하반기 실적의 최대 변수는 단연 ‘자연재해’, 특히 태풍의 강도와 빈도입니다.
하반기 실적을 위협하는 리스크 요인

• 집중호우의 증가: 태풍이 아니더라도 국지성 집중호우, 즉 ‘게릴라성 폭우’가 잦아지면서 도시 지역의 침수 피해가 증가하는 추세입니다.
• 물가 상승으로 인한 수리비 증가: 인플레이션으로 인해 자동차 부품 가격과 공임비, 건축 자재비 등이 모두 상승했습니다. 이는 동일한 피해가 발생하더라도 지급해야 할 보험금이 과거보다 커졌음을 의미합니다.
결국, 올해 하반기 손해보험사들의 실적은 ‘하늘’에 달려있다고 해도 과언이 아닙니다. 만약 힌남노급의 태풍이 다시 한번 한반도를 강타한다면, 상반기에 쌓아 올린 이익을 모두 반납하고도 모자란 상황이 발생할 수 있습니다.
위기 속 기회: 손해보험사들의 생존 전략
기후 변화라는 거대한 위협 앞에서 손해보험사들 역시 손을 놓고만 있지는 않습니다. 위기를 관리하고 새로운 기회를 모색하기 위한 다각적인 노력이 이루어지고 있습니다. 이는 기후 변화와 손해보험사의 미래 관계를 재정립하는 과정이기도 합니다.
1. 데이터 기반의 리스크 관리 고도화
과거의 경험 통계에만 의존하던 방식에서 벗어나, 인공지능(AI)과 빅데이터를 활용한 예측 시스템을 도입하고 있습니다. 위성 데이터, 기상 데이터, 지역별 침수 이력 데이터 등을 종합적으로 분석하여 특정 지역의 재해 발생 확률과 예상 피해 규모를 정밀하게 예측합니다. 이를 통해 위험도가 높은 지역의 보험 인수 심사를 강화하거나, 선제적인 안전 캠페인을 벌이는 등 사전적 리스크 관리에 집중하고 있습니다.
2. 보험 요율 및 상품 구조의 합리적 개편
재해 발생 빈도가 높은 지역이나 침수 위험이 큰 차종에 대해 보험료를 차등 적용하는 등 ‘위험 기반 요율 체계’를 정교화하고 있습니다. 또한, 기후 변화 관련 신규 리스크를 담보하는 새로운 보험 상품을 개발하거나, 기존 상품의 보장 범위를 조정하여 손해율을 관리하려는 노력을 기울이고 있습니다.
3. 재보험을 통한 위험 분산

손해보험사들은 자신들이 감당하기 어려운 거대 위험을 ‘재보험사’에 넘기는 방식으로 리스크를 분산합니다. 대형 자연재해가 발생했을 때의 손실 부담을 덜기 위해 재보험 가입 한도를 늘리거나, 보다 유리한 조건의 재보험 계약을 체결하는 것이 중요한 경영 전략 중 하나입니다.
결론: 기후 변화 시대, 패러다임의 전환이 필요하다
결론적으로, 기후 변화와 손해보험사의 미래는 더 이상 안정적인 성장을 담보할 수 없는, 불확실성으로 가득 찬 시대로 접어들었습니다. 강력해진 태풍과 예측 불가능한 기상 이변은 손해보험사의 하반기 실적을 좌우할 가장 큰 변수이며, 이는 단기적인 문제를 넘어 산업의 근간을 흔드는 장기적인 위협이 되고 있습니다.
따라서 손해보험업계는 단순히 손해율을 관리하는 차원을 넘어, 기후 변화 자체에 대응하는 사회적 역할에 대한 고민을 시작해야 합니다. 데이터 기반의 정교한 리스크 관리, 합리적인 상품 개발뿐만 아니라, 친환경 인프라 투자나 탄소 배출 감축 노력에 대한 인센티브 제공 등 ESG 경영을 실질적으로 강화하며 새로운 패러다임을 만들어가야 할 때입니다. 투자자들 또한 특정 손해보험사의 단기 실적뿐만 아니라, 이러한 기후 변화 리스크에 얼마나 효과적으로 대응하고 있는지를 장기적인 관점에서 평가해야 할 것입니다.
Copyright © 저작권법에 따라 허락 없이 무단 복제, 배포, 전재를 금지합니다.