필리핀 슈퍼 태풍 '망쿳' 초비상..4천만명 영향권
전체 맥락을 이해하기 위해서는 본문 보기를 권장합니다.
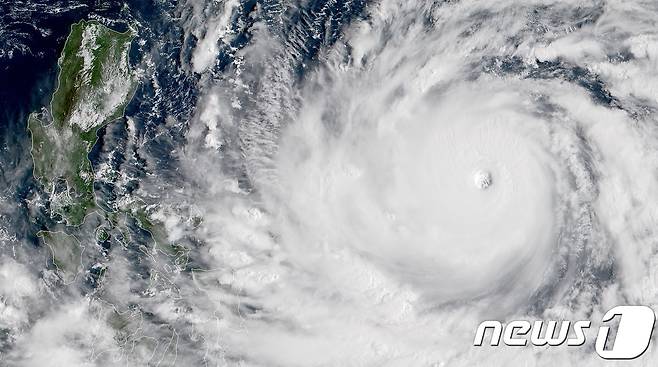
필리핀이 슈퍼 태풍 '망쿳'의 상륙을 앞둔 13일(현지시간) 비상 체제에 돌입했다.
AFP통신에 따르면 제22호 태풍 망쿳은 현재 태평양에서 필리핀 북부 루손섬을 향해 시간당 최대 255km 속도로 빠르게 서진(西進) 중이다.
망쿳은 최대풍속 72m/s, 중심기압 910헥토파스칼(hPa)에 달하는 초대형 1급 태풍으로 분류된다.
초대형 태풍을 목전에 둔 필리핀은 초비상이 걸렸다.
이 글자크기로 변경됩니다.
(예시) 가장 빠른 뉴스가 있고 다양한 정보, 쌍방향 소통이 숨쉬는 다음뉴스를 만나보세요. 다음뉴스는 국내외 주요이슈와 실시간 속보, 문화생활 및 다양한 분야의 뉴스를 입체적으로 전달하고 있습니다.
7000명 사망·실종 '하이옌' 악몽에 철저 대비

(서울=뉴스1) 이원준 기자 = 필리핀이 슈퍼 태풍 '망쿳'의 상륙을 앞둔 13일(현지시간) 비상 체제에 돌입했다.
AFP통신에 따르면 제22호 태풍 망쿳은 현재 태평양에서 필리핀 북부 루손섬을 향해 시간당 최대 255km 속도로 빠르게 서진(西進) 중이다.
망쿳은 최대풍속 72m/s, 중심기압 910헥토파스칼(hPa)에 달하는 초대형 1급 태풍으로 분류된다. 또 슈퍼태풍(1분 평균 최대풍속 65m/s) 기준도 충족한다.
망쿳은 필리핀에는 14일 상륙하며 큰 피해를 줄 것으로 예상되고 있다.
초대형 태풍을 목전에 둔 필리핀은 초비상이 걸렸다. 망쿳이 수도 마닐라가 있는 루손섬을 직접 타격할 것으로 예상되고 있어서다.
이 때문에 세계재난경보조정시스템(GDACS)은 4300만명의 주민이 강풍과 집중호우 등 태풍 피해를 입을 수 있다고 경고했다. 앞서 망쿳에 휩쓸린 괌은 전력의 80%가 끊기고, 주택이 붕괴되는 등 큰 피해를 입었다.
필리핀 당국은 루손섬 북부 지역을 중심으로 대피령을 선포하고 군과 경찰 등을 배치해 비상사태에 대비하고 있다. 또한 식량과 의약품을 비축해 놓은 상태다.
필리핀은 지난 2013년 초대형 태풍 '하이옌'에 호되게 당한 기억이 있다. 당시 중부 사마르 지역을 타격한 태풍 피해로 6000여명이 사망하고 1000여명이 실종되는 인명 피해가 발생했다. 하이옌이 필리핀을 강타했을 당시 최대 순간풍속은 무려 275km/s로 관측됐었다.
wonjun44@news1.kr
<저작권자 © 뉴스1코리아, 무단전재 및 재배포 금지>
Copyright © 뉴스1. All rights reserved. 무단 전재 및 재배포, AI학습 이용 금지.